November 12-én Gödöllőn gyűlt össze a szakma a XIX. Növényorvos Nap alkalmából, ahol a növényvédelem legfeszítőbb problémája, a szőlő aranyszínű sárgasága többször is reflektorfénybe került. A konferencián az is világossá vált, hogy a világ gyors változásához a rövid életciklusú, egyszerű élőlények sokkal hatékonyabban alkalmazkodnak, mint az ember és kultúrnövényei. Ahhoz, hogy követni tudjuk őket, égető szükségünk van a mesterséges intelligencia gyors megoldásaira.
„Ránk rúgta az ajtót a fitoplazma” – hangzott el rögtön a rendezvényt felvezető köszöntőben. A járvány potenciális hatását Hubai Imre államtitkár a filoxérához hasonlította. 1875 és 1880 között a 400–450 ezer hektárnyi, magyar szőlőterület 70–80%-a elpusztult. Ma mintegy 40 ezer hektárnyi gondozott és nagyjából 20 ezer hektárnyi elhanyagolt szőlőterületünk van, utóbbiak kényszerkivágásra kerülhetnek a következő évben.
Szimbiontákat alkalmazó kártevők
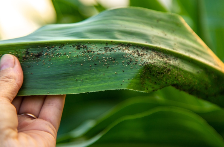
Miközben a kutatók éveket fordítanak egy-egy kártevő vagy kórokozó életmódjának megértésére, az néhány év alatt képes szinte teljesen kiirtani egy kultúrát, majd egy másikra adaptálódni. Balog Adalbert erdélyi biológus, ökológus, egyetemi tanár például a zöld kukorica-levéltetű (Rhopalosiphum maidis) három évnyi vizsgálata során jutott arra a következtetésre, hogy ezek a gyors életciklusú rovarok szimbionta baktériumok segítségével képesek alkalmazkodni a megváltozott éghajlathoz, és a tápnövényváltásban is ezek segíthették a gabonakártevőt.
Románia déli országrészeiben egészen forróvá vált az éghajlat. A kukoricák felületén több mint 40 fokos hőmérsékletet lehetett mérni nyáron. Nincs az a katica vagy pók, ami ezt elviseli. A kutatók arra gyanakodtak, hogy a levéltetű extrém hőtűréséért a vele együtt élő baktériumok a felelősek. 365 különböző baktériumot azonosítottak, ebből két olyan szimbiontát találtak, amelyek meleg időjárásban nagy számban vannak jelen a levéltetvekben.
A Serratia nemzetségről kiderült, hogy magas hőmérsékleten képes megvédeni a gazdaállat DNS-ét a fehérjekicsapódástól. A Wolbachia nemzetség baktériumai pedig gyakori szimbionták a rovarvilágban, növelik a nőstények arányát és fertilitását is a levéltetű-generációkban. Azt is megfigyelték, hogy jelenlétükben csökken a parazitált tetvek aránya. Bár még nem tudják, ez hogyan történik, de azok a kukorica-levéltetvek, amelyekben e két szimbionta jelen van, nem hevülnek túl a forróságban és fitten szaporodnak.
Okos algoritmusokat használó növényorvosok
Miközben a kártevők gyors ütemben alkalmazkodnak a változó klímához, ez a nemesítésről és a növényvédelemről kevésbé mondható el. A mesterséges intelligenciával azonban olyan eszköz került a kezükbe, amelyik sokkal gyorsabb reagálást tesz lehetővé a védekezésben. Az előadások egy része a drónokról és a képek intelligens szűrésére képes algoritmusokról szólt. Magukat az algoritmusokat pedig mesterséges intelligencia segítségével írják meg az informatikai szakemberek.
Hazánkban 2013-ban, Zala vármegyében jelent meg az amerikai szőlőkabóca és az általa terjesztett fitoplazmás betegség. Idén rendkívül felgyorsult a terjedése és két borvidék kivételével mindegyiket elérte – ismertette a helyzetet Szűcs Csaba, a Nemzeti Élelmiszerlánc-biztonsági Hivatal (Nébih) növényvédelmi igazgatója. Bár két alkalommal is szükséghelyzeti engedélyekkel segítették a kabóca elleni védekezést, végül országos felderítésre és légi növényvédelemre is sort kellett keríteni. Októberben 7300 hektárt repültek le a felderítésben részt vevő drónok. A mesterséges intelligenciával feldolgozott képeket szakemberek validálják, 8600 hektárt pedig gyalogos szemlecsoportok néztek át. A Nébih – bár a laborkapacitásait is átcsoportosította – a minták harmadának feldolgozásával még nem végzett.
Boa László, aki korábban az IBM-nél foglalkozott a mesterséges intelligencia kutatásával, most a Bowman-Architect ügyvezetőjeként segítette a növényvédőket az aranyszínű sárgaság korai detektálásában. Mint mondta, olyan feladatokat érdemes a mesterséges intelligenciára bízni, ahol egyszerűen definiálható a cél, kevés az emberi kapacitás a munkára, és jól automatizálható a folyamat. Bár az emberi intuíciót nehéz algoritmussal pótolni, ma már számos olyan adattal rendelkezik a mezőgazdaság – a talajtípustól kezdve a meteorológiáig –, amelyekben mintázatok kereshetők a kabóca korai előrejelzésére. A fertőzés tünetei pedig megfelelő képmennyiséggel könnyen betaníthatók a program számára. „Az AI segítségével, ma 4 óra alatt el tudunk végezni egy olyan informatikai folyamatot, ami korábban hat hónap lett volna” – érzékeltette a technológia jelentőségét a szakember.
Lásd még a témában: Aranyszínű sárgaság: versenyfutás az idővel a szőlőben.
MezőHír Tudástár
Növénykártevők gyors alkalmazkodása – A rövid életciklusú kártevők a szimbionta baktériumok segítségével gyorsan képesek alkalmazkodni a klímaváltozáshoz, miközben a növényorvosok mesterséges intelligencia-alapú eszközökkel próbálják tartani velük a lépést a korai felismerés és védekezés érdekében.





